La versione del tuo browser non è più supportata. Aggiornalo per una migliore esperienza.

Prezzo su richiesta

Esclusiva villa in vendita Via Giara, Illasi, Veneto

Prezzo su richiesta
258 m² 3 3

Descrizione

POSIZIONE PANORAMICA E PRIVILEGIATA NEL CUORE DELLA VAL D'ILLASI
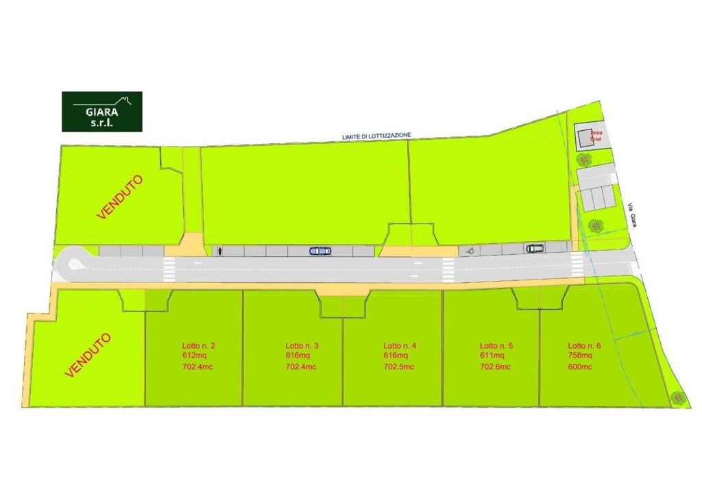
Nel suggestivo contesto collinare di Illasi, in provincia di Verona, proponiamo in vendita esclusivi lotti edificabili urbanizzati, pronti per accogliere nuove costruzioni di pregio in un ambiente naturale, riservato e ben collegato.

IL CONTESTO
Immersi nel verde e nella tranquillità della Val d'Illasi, a pochi minuti dal centro del paese e da tutti i principali servizi, i lotti godono di una vista aperta e dominante sul paesaggio collinare, offrendo uno scenario ideale per realizzare soluzioni abitative moderne, di qualità e in armonia con l'ambiente.

LE CARATTESTICHE
- Lotti già urbanizzati - con accessi, sottoservizi e impianti pronti all'allaccio
- Superfici variabili per soddisfare diverse esigenze progettuali
- Ampia potenzialità edificatoria, adatta sia per abitazioni unifamiliari che per interventi più articolati
- Orientamento ottimale, esposizione solare perfetta
- Possibilità di acquisto singolo o multiplo

IDEALI PER:
- Privati che desiderano costruire la casa dei propri sogni in posizione esclusiva
- Imprese o investitori alla ricerca di nuove opportunità in contesto residenziale di pregio

POSIZIONE STRATEGICA
- A 25 km da Verona
- Vicinanza ai principali assi stradali
- Immerso nella natura, ma comodo ai servizi

CONTATTACI PER MAGGIORI INFORMAZIONI
Disponibili planimetrie, schede tecniche e consulenza personalizzata per sviluppo progettuale.
Occasione unica per chi cerca qualità, posizione e potenzialità!

Leggi tutto

Dettagli

Camere:
4
Camere da letto:
3
Bagni:
3
Superficie interna:
258 m²
Classe Energetica:
A
Codice:
123013383
Cucine:
1
Giardino:
Privato
Indirizzo:
Via Giara
Numero Piani:
2
Stato:
Nuovo o in costruzione
Terrazza
Parcheggio

Scopri di più

Posizione