גרסת הדפדפן שלך אינה נתמכת עוד. עדכן אותו לחוויה טובה יותר.
€ 2,190,000
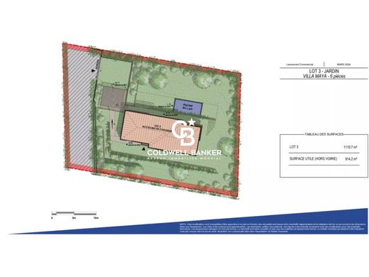
158 m²
3
5
רשימת מודעות
13
Hyères, פרובנס-אלפ-קוט ד'אזור ב למכירה וילה יוקרתית
€ 2,190,000
€ EUR
AED AED
AU$ AUD
R$ BRL
CA$ CAD
Fr. CHF
CN¥ CNY
₡ CRC
€ EUR
£ GBP
HK$ HKD
₪ ILS
JP¥ JPY
₩ KRW
zł PLN
₽ RUB
TL TRY
US$ USD
אישור
2,190,000
158 m²
3
5
ותאור
תאור מקורי
מופעל על ידי
התרגום האוטומטי משתמש בתוכנת התרגום של גוגל ועשוי להיות לא מדוייק.
מצטערים, אירעה תקלה במהלך התרגום האוטומטי עם Google Translate. נסה שוב מאוחר יותר.
תרגם תאור זה לעברית
קראו את כל
פרטים
חדרים:
6
חדרי שינה:
5
חדרי שירותים:
3
מידה חיצונית:
4 m²
מידה פנימית:
158 m²
מערכות קירור:
מיזוג אויר
מקור חימום:
חשמלי
נוף:
ים
סטטוס:
חדש/בבנייה
קוד:
132 VB
שירותים חיצוניים:
בריכת שחיה
דירוג אנרגטי
לא מסופק
דרגת פליטת גז
לא מסופק
גלה עוד
בקשת מידע נוסף
מיקום
המפרסם לא מסר את הכתובת המדויקת של הנכס.
בקש את המיקום המדויק
מודעות דומות
מודעות קשורות בHyères
למכירה בתי יוקרה
סוכנות נדל"ן יוקרתי